Prodej pozemky pro bydlení, 760 m2 - Bukovany
Makléř: Večerka Miloslav
Telefon: 734 700 ...
E-mail: omegapra ...
Zobrazit celý kontaktTelefon: 734 700 705
E-mail: omegapraha@seznam.cz
Makléř: Večerka Miloslav
Telefon: 734 700 ...
E-mail: omegapra ...
Zobrazit celý kontaktTelefon: 734 700 705
E-mail: omegapraha@seznam.cz
Nemovitost nabízí
Reality Večerka s.r.o.
Nová Ves 34, 267 63 Zaječov
Zobrazit kontakt na RK
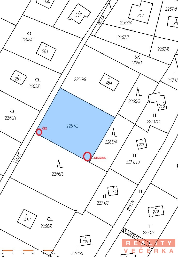
Stavební pozemek je vhodnou investicí. Nabízíme k prodeji stavební pozemek v katastru obce Bukovany u Týnce nad Sázavou, výměra 760 m2. Pozemek je určený k výstavbě domu pro rodinnou rekreaci s označením číslem evidenčním, to znamená, že v domě se lze přihlásit k trvalému pobytu. Podmínky prostorového uspořádání budoucí nemovitosti na pozemku: -koeficient zastavění pozemku: max.15% z výměry pozemku, to je 114 m2, přitom ale půdorysná plocha objektů nepřesáhne 100 m2, - maximální výškové parametry zástavby: max. 1 nadzemní podlaží a obytné podkroví, současně max. výška 7 m, - minimální velikost stavebního pozemku 550 m, -koeficient zeleně: min. 75%, - na pozemku je vrt studny, elektřina, Pozemek se nachází v zalesněné krajině, je zde cca 20 chat. Územní plán nepředpokládá další zástavbu (parcelaci) této oblasti. Příjezd je po zpevněné komunikaci. Týnec nad Sázavou je vzdálený 4 minuty jízdy autem, Poříčí nad Sázavou 12 minut (nájezd na rychlostní silnici E55 a po ní na D1). Koupě pozemku a postavení domu vám umožní žít v přírodě. Jde i o vhodnou investici. S hypotékou vám zdarma pomůžeme. Koupi lze financovat hypotékou s ručením tímto pozemkem. Další informace získáte u makléře.
Prodej stavebního pozemku 1 222 m2, Netvořice
Nabízíme k prodeji stavební pozemek o ploše 1.222 m2 v městyse Netvořice, okr. Benešov. Pozemek se nachází v ulici Újezdská. Jde o klidnou část…
Prodej stavebního pozemku 891 m2 v obci Podělusy - městská část Týnce nad Sázavou
Nabízíme k prodeji stavební pozemek o rozloze 891 m2 v obci Podělusy - městská část Týnce nad Sázavou. Na pozemku vybudován vrt, obecní kanalizace,…