Stavební pozemek 590 m2 Stříbro
Makléř: Cink Pavel
Telefon: 704 784 ...
E-mail: p.cink@p ...
Zobrazit celý kontaktTelefon: 704 784 014
E-mail: p.cink@post.cz
prodej
Tř. 5. května
Pozemky, Pozemky pro stavbu RD, bytů
73
22.12.2025
590 m2
Makléř: Cink Pavel
Telefon: 704 784 ...
E-mail: p.cink@p ...
Zobrazit celý kontaktTelefon: 704 784 014
E-mail: p.cink@post.cz
Nemovitost nabízí
Nemovitost s odhadem s. r. o.
Cílkova 649/4, Praha - Kamýk
Zobrazit kontakt na RK
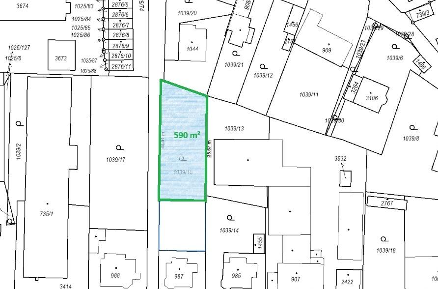
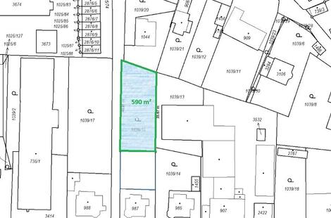
Nabízíme k prodeji atraktivní rovinatý stavební pozemek o výměře přibližně 590 m v klidné části města Stříbro, v lokalitě Tř. 5. května. Pozemek bude oddělen z parcely p. č. 1039/15 v katastrálním území Stříbro a je připraven k okamžité výstavbě rodinného domu. Pozemek se nachází v plně zasíťované lokalitě, kde jsou všechny inženýrské sítě v blízkosti. K dispozici je napojení na elektřinu, vodovod, kanalizaci i plyn, což výrazně usnadní a zlevní budoucí výstavbu. Pozemek je rovinatý, což je ideální pro stavbu rodinného domu bez nutnosti nákladných terénních úprav. Lokalita nabízí klidné bydlení v příjemném prostředí s kompletní občanskou vybaveností. V dosahu jsou mateřské a základní školy, zdravotní střediska, obchody, restaurace i sportovní zařízení a zázemí. Stříbro je město s výbornou dostupností do Plzně, která je vzdálená přibližně 30 minut a stejně tak i na Rozvadov. Na pozemku nejsou evidována žádná břemena ani zástavní práva, což zajišťuje bezproblémový převod vlastnictví. Pozemek je veden v katastru nemovitostí jako zemědělský půdní fond, přičemž je připraven k vyjmutí pro účely výstavby rodinného domu. Tato nabídka je ideální pro rodiny, které hledají pozemek pro stavbu vlastního bydlení v atraktivní lokalitě s dostupnou infrastrukturou, nebo pro investory zajímající se o perspektivní nemovitost v rozvojové oblasti. Technické informace: Parcela bude oddělena z p. č. 1039/15 (zahrada) Katastrální území: Stříbro, LV č. 165 Inženýrské sítě: elektřina, vodovod, kanalizace, plyn v dosahu Příjezd: zajištěn ze zadní části pozemku Rádi vám poskytneme další informace, zajistíme prohlídku pozemku a pomůžeme s vyřízením všech formalit spojených s koupí. Kontaktujte nás ještě dnes.
Prodej pozemku k bydlení, 698 m2, Stříbro
Nabízíme Vám jedinečnou příležitost ke koupi pozemku, který je v územním plánu vedený jako smíšená plocha k městskému bydlení. Nachází se v klidné…
Stavební pozemek Stříbro, Palackého x Za Stadionem
Nabízíme Vám ke koupi lukrativní stavební pozemek ve Stříbře, v lokalitě ,,Za Stadionem“. Jedná se o novou lokalitu, ve které probíhá výstavba…
Prodej stavebního pozemku Stříbro na Eurobydleni.cz