Prodej, Ostatní pozemky, Praha-Lipence
Makléř: František Zbahna
Telefon: 720 980 ...
E-mail: zbahna@h ...
Zobrazit celý kontaktTelefon: 720 980 333
E-mail: zbahna@home4people.cz
prodej
32058
osobní
32 m2
Makléř: František Zbahna
Telefon: 720 980 ...
E-mail: zbahna@h ...
Zobrazit celý kontaktTelefon: 720 980 333
E-mail: zbahna@home4people.cz
Nemovitost nabízí
HOME 4 PEOPLE, a.s.
Nádražní 47/90, 150 00 Praha 5
Zobrazit kontakt na RK734 177 127
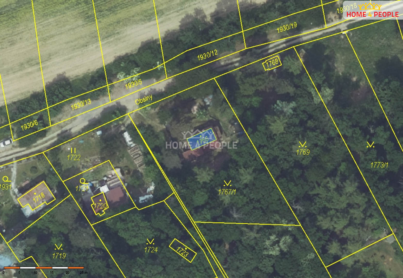
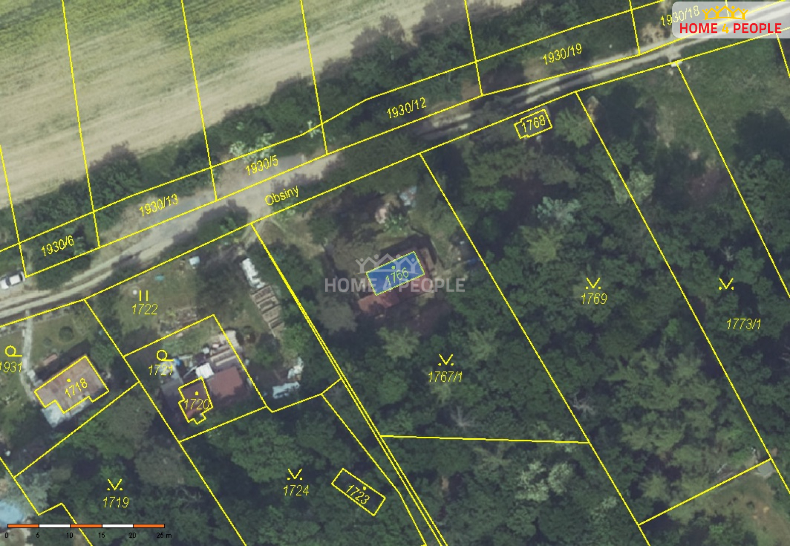
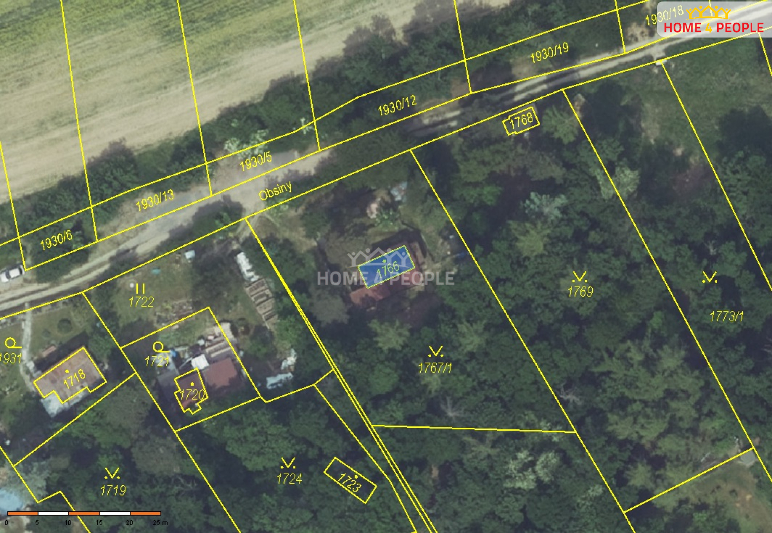
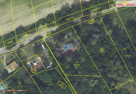
Nabízíme k prodeji spoluvlastnický podíl 1/2 na pozemku parc. č. 1766v katastrálním území Lipence, zapsaném na LV 977. Pozemek má celkovou výměru cca 32 m2, předmětem prodeje je tedy ideální polovina podílu. Na pozemku se nachází cizí rekreační objekt. Parcela se nachází v klidné části Lipenců a je evidována v katastru nemovitostí. Prodej je vhodný zejména pro zájemce o rozšíření stávajícího pozemku v okolí nebo jako dlouhodobá investice. Podrobnější informace k pozemku, listu vlastnictví a právnímu stavu rádi poskytneme na vyžádání. Ev. číslo: 32058.
Prodej rozlehlého pozemku (10 828 m2), Praha 5 - Lahovice
Nabízíme k prodeji krásný rozlehlý pozemek na břehu Vltavy v Praze 5 - Lahovice v bezprostřední blízkosti přívozu Lahovičky. Předmětem prodeje jsou…
Prodej, Ostatní pozemky, Praha-Lipence
Nabízíme k prodeji spoluvlastnický podíl 1/2 na pozemku parc. č. 1767/1 v katastrálním území Lipence, zapsaném na LV 977. Pozemek má celkovou výměru…