Vybírejte z nabídky 37 102 nemovitostí od 811 realitních kanceláří
lupa mobilní menu
Přehled nemovitostí: prodej pozemky > ostatní pozemky > Praha Zpět na přehled nabídek

Prodej, Ostatní pozemky, Praha-Lipence

foto09_11430322_69942.jpg foto09_11430322_12032.jpg foto09_11430322_58335.jpg foto09_11430322_92023.jpg Aktivní
Prodejce

Makléř: František Zbahna

Telefon: 720 980 ...

E-mail: zbahna@h ...

Zobrazit celý kontakt

prodej

Praha (okres Praha)

Pozemky, Ostatní pozemky

32058

28.12.2025

osobní

32 m2

Cena: 44800 CZK / objekt
Poznámka k ceně: včetně provize a právního servisu. 1
Prodejce

Makléř: František Zbahna

Telefon: 720 980 ...

E-mail: zbahna@h ...

Zobrazit celý kontakt
Poslat dotaz k nabídce
Zásady používání osobních údajů

Nemovitost nabízí

/loga_velka/6615.jpg

HOME 4 PEOPLE, a.s.

Nádražní 47/90, 150 00 Praha 5

www.home4people.cz

Zobrazit kontakt na RK

Zobrazit všechny nabídky RK

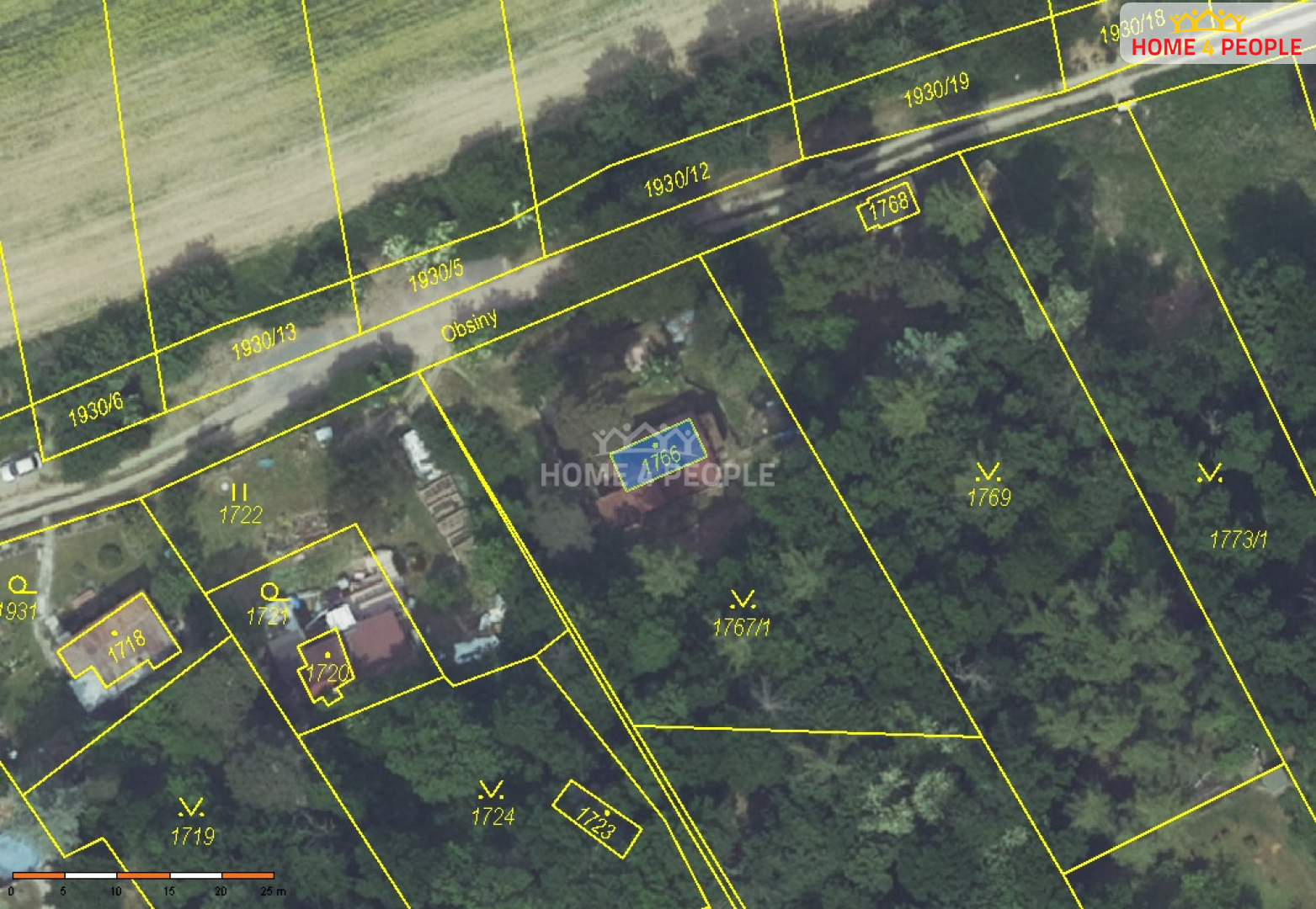
Nabízíme k prodeji spoluvlastnický podíl 1/2 na pozemku parc. č. 1766v katastrálním území Lipence, zapsaném na LV 977. Pozemek má celkovou výměru cca 32 m2, předmětem prodeje je tedy ideální polovina podílu. Na pozemku se nachází cizí rekreační objekt. Parcela se nachází v klidné části Lipenců a je evidována v katastru nemovitostí. Prodej je vhodný zejména pro zájemce o rozšíření stávajícího pozemku v okolí nebo jako dlouhodobá investice. Podrobnější informace k pozemku, listu vlastnictví a právnímu stavu rádi poskytneme na vyžádání. Ev. číslo: 32058.



Nahoru