Vybírejte z nabídky 37 128 nemovitostí od 812 realitních kanceláří
lupa mobilní menu
Přehled nemovitostí: prodej pozemky > ostatní pozemky > Praha Zpět na přehled nabídek

Prodej, Ostatní pozemky, Praha-Lipence

foto09_11430333_33919.jpg foto09_11430333_72140.jpg foto09_11430333_07492.jpg foto09_11430333_39994.jpg Aktivní
Prodejce

Makléř: František Zbahna

Telefon: 720 980 ...

E-mail: zbahna@h ...

Zobrazit celý kontakt

prodej

Praha (okres Praha)

Pozemky, Ostatní pozemky

32048

28.12.2025

osobní

13 m2

Cena: 18200 CZK / objekt
Poznámka k ceně: včetně provize a právního servisu. 1
Prodejce

Makléř: František Zbahna

Telefon: 720 980 ...

E-mail: zbahna@h ...

Zobrazit celý kontakt
Poslat dotaz k nabídce
Zásady používání osobních údajů

Nemovitost nabízí

/loga_velka/6615.jpg

HOME 4 PEOPLE, a.s.

Nádražní 47/90, 150 00 Praha 5

www.home4people.cz

Zobrazit kontakt na RK

Zobrazit všechny nabídky RK

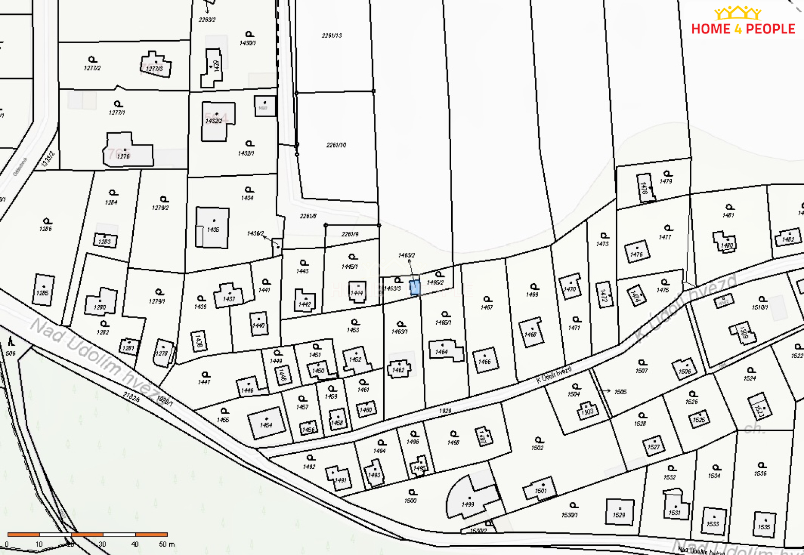
Nabízíme k prodeji spoluvlastnický podíl 1/2 na pozemku parc. č. 1463/2 v katastrálním území Lipence, zapsaném na LV 977. Pozemek má celkovou výměru cca 13 m2, předmětem prodeje je tedy ideální polovina podílu. Parcela se nachází v klidné části Lipenců a je evidována v katastru nemovitostí. Prodej je vhodný zejména pro zájemce o rozšíření stávajícího pozemku v okolí nebo jako dlouhodobá investice. Podrobnější informace k pozemku, listu vlastnictví a právnímu stavu rádi poskytneme na vyžádání. Ev. číslo: 32048.



Nahoru